Cyclone Ditwah inches closer to Tamil Nadu coast, 12 districts issued red alert
The storm is expected to continue moving north-northwestwards and reach over southwest Bay of Bengal towards the stretch between north Tamil Nadu and south Andhra Pradesh. Current forecasts indicate that Ditwah is likely to reach the waters off these coasts by the early hours of November 30 (Sunday).

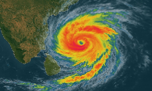
Weather map
CHENNAI: Cyclonic Storm Ditwah moved closer to India’s east coast on Friday with a speed of 4 kmph in the last six hours, now 520 km south of Chennai as it strengthens over coastal Sri Lanka and the southwest Bay of Bengal. North Tamil Nadu, Puducherry, and south Andhra Pradesh have been advised to remain alert, with the Cauvery Delta region, coastal districts, Puducherry, and Karaikal warned of 70-80 kmph wind speeds, gusting upto 90 kmph on Saturday (November 29).
The storm is expected to continue moving north-northwestwards and reach over southwest Bay of Bengal towards the stretch between north Tamil Nadu and south Andhra Pradesh. Current forecasts indicate that Ditwah is likely to reach the waters off these coasts by the early hours of November 30 (Sunday).
As of 11.30 am today, the storm was about 30 km southwest of Trincomalee and 110 km northwest of Batticaloa in Sri Lanka, and roughly 310 km south-southeast of Karaikal, 420 km south-southeast of Puducherry, and 520 km south of Chennai.
In its latest bulletin on Friday, the Regional Meteorological Centre (RMC) Chennai has issued red alerts for extremely heavy rainfall (over 20 cm in a 24-hour period) in isolated places across Ramanathapuram, Pudukottai, Thanjavur, Tiruvarur, Nagapattinam and Karaikal on November 28.
On November 29, the alert will cover Cuddalore, Mayiladuthurai, Villupuram, Chengalpattu, and Puducherry. On November 30, Tiruvallur and Ranipet will also be under a red alert.
An orange alert has been issued for Thoothukudi, Sivaganga, Ariyalur and Mayiladuthurai districts on November 28; for Pudukottai, Thanjavur, Tiruvarur, Nagapattinam, Ariyalur, Perambalur, Tiruchirappalli, Salem, Kallakurichi, Tiruvannamalai, Chennai, Kancheepuram, Tiruvallur and Ranipet districts, and the Karaikal area on November 29; and for Kancheepuram, Chennai, Chengalpattu, Vellore, Tirupattur, Krishnagiri and Dharmapuri districts on November 30, according to the weather department.
In light of the forecasts, the Tamil Nadu government has advised the district collectors to remain vigilant and launch appropriate rescue and relief measures. Fishermen have been warned not to venture into the sea.
Meanwhile, India has launched Operation Sagar Bandhu, a Humanitarian Assistance and Disaster Relief (HADR) mission, to support Sri Lanka, which has reported more than 50 deaths due to Cyclone Ditwah.
Also Read: Death toll from floods and landslides rises to 56 in Sri Lanka

